Home Homes for Sale Avon, CT 185 West Avon Road

185 West Avon Road, Avon, CT 06001

Lots and Land For Sale · Residential Land

$175,000
185 West Avon Road, Avon, CT
Active
Photo 2
Photo 3
Photo 4
Photo 5
0.966
Acres

About This Home

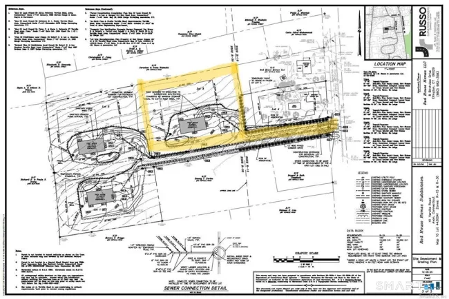
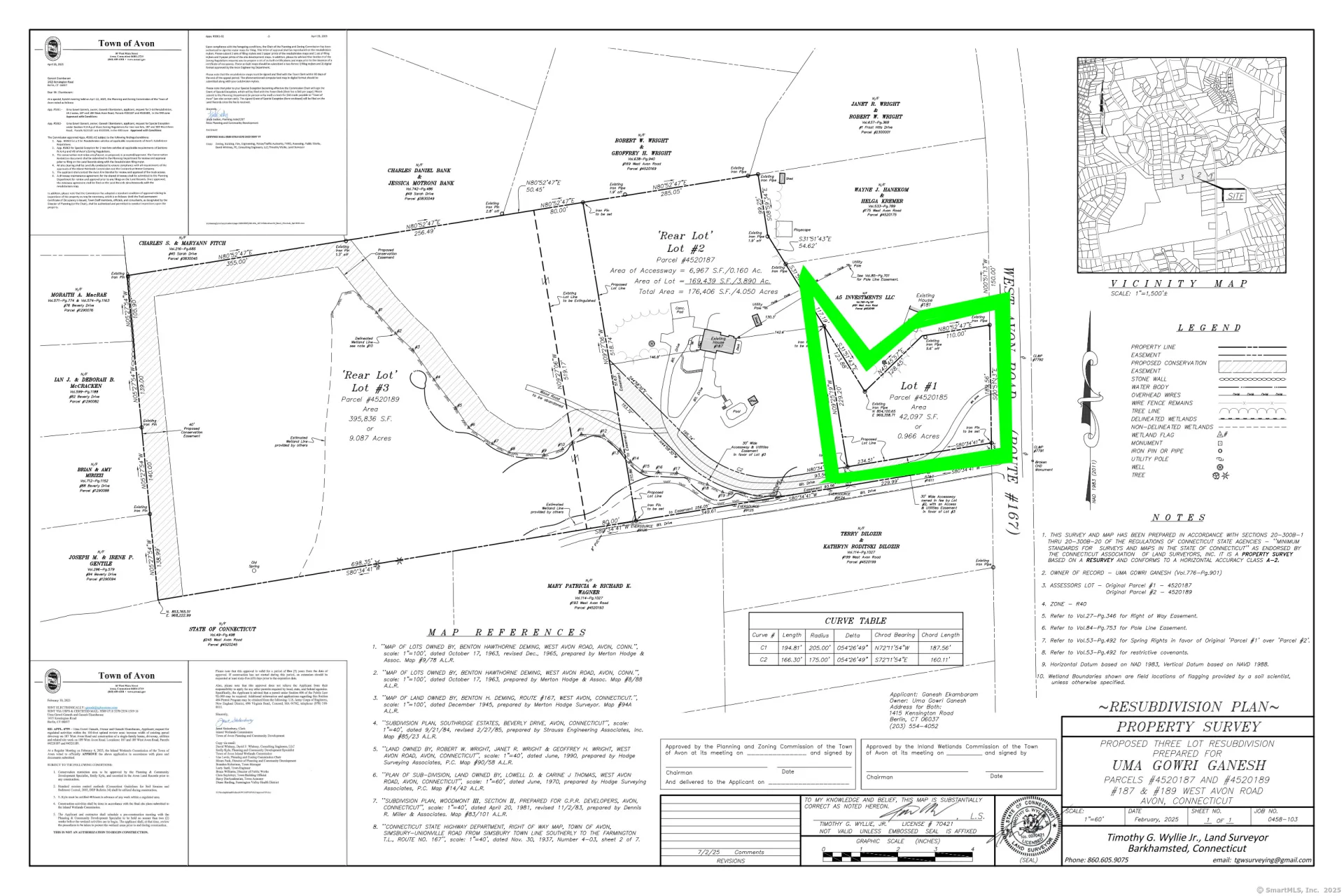
Buildable Front Lot, Road facing with Approved Plans - 0.966 Acres in Avon, CT An exceptional opportunity to build your dream home in one of Avon's most desirable locations! This approved and subdivided lot sits at the front of the original 187-189 W Avon Road property and offers 0.966 acres (42,097 sq ft) of level, buildable land. Buildable Approved Lot, Ready for Your Dream Home. Don't miss this rare opportunity to build your custom home on an approved and build-ready lot adjacent to 187-189 W Avon Road. Approved by the Town of Avon as part of a 3-lot subdivision, this parcel comes with engineered and town-approved plans for a private well and septic system. Set in a quiet, tree-lined area and close to schools, trails, and Route 44, this is the perfect location for a new construction project. Highlights: Subdivided and approved building lot Private well and septic plans approved Peaceful setting near Avon Village Center Surrounded by upscale homes and natural beauty.

Listed by Kokila Padmanabhan (203) 550-6973 with NUM #1 Realty Inc (203) 550-6973

Listing Snapshot

Price $175,000 Days on Our Site 0 days
Property Tax $2,691/yr Style
Year Built Total Sq Ft
Lot Size 0.966 acres HOA Fees N/A
Bedrooms Full Bathrooms
Total Rooms Half Baths

Key Features

Nearby
  • Golf Course
  • Health Club
  • Library
  • Medical Facilities
  • Playground/Tot Lot
  • Public Transportation
  • Shopping/Mall
  • Tennis Courts

Systems & Utilities

Water Private Well, Well Required
Sewer Septic, Septic Required

Schools

Elem Per Board of Ed
High Avon

Mortgage Calculator

$
$
%
%
Est. Monthly Payment
Principal & Interest
Est. Property Tax $224/mo
Est. Home Insurance

Estimate only. Contact a lender for accurate figures.

Listing History

Date Event Price
Apr 22, 2026 Listed $175,000

Frequently Asked Questions

How much does 185 West Avon Road in Avon, CT cost?
This property is listed at $175,000.
Is 185 West Avon Road, Avon, CT still available?
The current MLS status of this property is "Active". Contact RYZE Realty Group for the latest availability.
What school district is 185 West Avon Road, Avon in?
This home is served by the Avon public school system, with Per Board of Ed as the elementary school and Avon as the high school.
How do I schedule a tour of 185 West Avon Road, Avon, CT?
Contact RYZE Realty Group to schedule a private showing. You can submit a tour request directly on this page or call our office.

Listing Agent

Kokila Padmanabhan · (203) 550-6973

NUM #1 Realty Inc · (203) 550-6973

MLS# 24169475 · Data provided by SmartMLS. Information deemed reliable but not guaranteed.
Listing updated Apr 22, 2026 8:56 PM UTC